Search

Leave a Message

Thank you for your message. I will be in touch with you shortly.

Explore Properties

Property Description

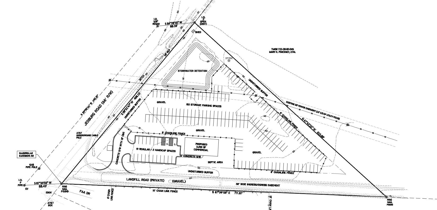
558 Jedburg Rd offers an expansive tract of land that spans 3.5 acres, boasts approximately 152k square feet of undeveloped space and is less than 1 mile from Interstate I-26. This property is zoned for the highly sought after Light Industrial (LI) designation which allows for flexible commercial and industrial activities and a wide range of business endeavors. 558 Jedburg Rd, also referred to as 570 Jedburg Rd, is identified by Tax Map Number (TMS) #722-00-00-044 and falls within Berkeley County. Conceptual plans & surveys etc available upon request.

Overview

Property Status
For Sale
Lot Size
3.5 Acres
MLS ID
26000912
Property Type
Land

Features & Amenities

Neighborhood
Summerville
Lot Features
2 - 5 Acres, High, Level, Wooded
Elementary School
Nexton Elementary
Middle School
Cane Bay
High School
Cane Bay High School
Sales Price
$1,275,000

Downloads

558 Jedburg Road

Schedule a Tour

I would love to help you see this beautiful home! As a full-service brokerage, I can help you tour. Please submit an offer, and answer questions about the buying process.

Thank you

for your interest in 558 Jedburg Road, Summerville, SC 29483

558 Jedburg Road
Navigate
 
Luxurious home in Downtown Summerville

Explore Summerville

read more

Mortgage Calculator

Estimate your monthly mortgage payment, including the principal and interest, property taxes, and HOA. Adjust the values to generate a more accurate rate.

$0,000 Your Payment 20 15 65
$0,000 Your Payment

Featured & Sold Listings

Featured Properties

  • 5315 Frisco Lane Lane For Sale

    $5,995,000

    5315 Frisco Lane, Johns Island, SC 29455

    • 5 Beds
    • 5 Baths
    • 3,190 Sq.Ft.
  • 0 Allandale Plantation Road For Sale

    $5,600,000

    0 Allandale Plantation Road, Wadmalaw Island, SC 29487

    • 4 Beds
    • 5 Baths
    • 3,500 Sq.Ft.
  • 0 Hitching Post Lane Active Under Contract

    $5,200,000

    0 Hitching Post Lane, Summerville, SC 29483

  • 895 White Point Blvd Boulevard Sold

    $4,900,000

    895 White Point Blvd Boulevard, Charleston, SC 29412

    • 4 Beds
    • 6 Baths
    • 3,453 Sq.Ft.
  • 676 Public Landing For Sale

    $4,250,000

    676 Public Lndg Lane, Yemassee, SC 29945

    • 4 Beds
    • 5 Baths
    • 3,459 Sq.Ft.
  • 66 Rutledge Avenue Pending

    $3,995,000

    66 Rutledge Avenue, Charleston, SC 29401

    • 4 Beds
    • 5 Baths
    • 4,943 Sq.Ft.
  • 651 Mccants Drive For Sale

    $3,900,000

    651 Mccants Drive, Mount Pleasant, SC 29464

    • 4 Beds
    • 4 Baths
    • 3,303 Sq.Ft.
  • 49 Society Street Sold

    $3,855,000

    49 Society Street, Charleston, SC 29401

    • 4 Beds
    • 5 Baths
    • 3,612 Sq.Ft.
  • 603 E Arctic Avenue For Sale

    $3,695,000

    603 E Arctic Avenue, Folly Beach, SC 29439

    • 6 Beds
    • 6 Baths
    • 3,456 Sq.Ft.
  • 3 23rd Avenue Sold

    $3,600,000

    3 23rd Avenue, Isle of Palms, SC 29451

    • 5 Beds
    • 7 Baths
    • 3,400 Sq.Ft.
  • 214 Charleston Boulevard Sold

    $3,300,000

    214 Charleston Boulevard, Isle of Palms, SC 29451

    • 6 Beds
    • 6 Baths
    • 4,423 Sq.Ft.
  • 208 Mccormick Street For Sale

    $3,250,000

    208 Mccormick Street, Mount Pleasant, SC 29464

    • 4 Beds
    • 4 Baths
    • 2,851 Sq.Ft.
  • 313 E Arctic Avenue Sold

    $3,095,000

    313 E Arctic Avenue, Folly Beach, SC 29439

    • 3 Beds
    • 3 Baths
    • 2,290 Sq.Ft.
  • 1408 Jackson Street Sold

    $2,950,000

    1408 Jackson Street, Mount Pleasant, SC 29464

    • 4 Beds
    • 4 Baths
    • 4,012 Sq.Ft.
  • 1599&1601 E Ashley Avenue Active Under Contract

    $2,950,000

    1599&1601 E Ashley Avenue, Folly Beach, SC 29439

  • 528 Wampler Drive Sold

    $2,914,500

    528 Wampler Drive, Charleston, SC 29412

    • 4 Beds
    • 3 Baths
    • 2,793 Sq.Ft.
  • 503 E Arctic Avenue Sold

    $2,885,000

    503 E Arctic Avenue, Folly Beach, SC 29439

    • 4 Beds
    • 4 Baths
    • 3,445 Sq.Ft.
  • 14 Limehouse Street For Sale

    $2,875,000

    14 Limehouse Street, Charleston, SC 29401

    • 4 Beds
    • 4 Baths
    • 2,615 Sq.Ft.
  • 1063 Mainsail Court Sold

    $2,831,500

    1063 Mainsail Court, Awendaw, SC 29429

    • 5 Beds
    • 5 Baths
    • 3,540 Sq.Ft.
  • 422 Palm Street Sold

    $2,825,000

    422 Palm Street, Mount Pleasant, SC 29464

    • 5 Beds
    • 5 Baths
    • 3,600 Sq.Ft.
  • 392 Tombee Court Sold

    $2,770,000

    392 Tombee Court, Mount Pleasant, SC 29464

    • 5 Beds
    • 5 Baths
    • 4,700 Sq.Ft.
  • 15 Longitude Lane Sold

    $2,750,000

    15 Longitude Lane, Charleston, SC 29401

    • 4 Beds
    • 3 Baths
    • 2,446 Sq.Ft.
  • 17 Judith Street For Sale

    $2,750,000

    17 Judith Street, Charleston, SC 29403

    • 5 Beds
    • 5,494 Sq.Ft.
  • 3320 Hopkinson Plantation Road Sold

    $2,750,000

    3320 Hopkinson Plantation Road, Johns Island, SC 29455

    • 5 Beds
    • 6 Baths
    • 6,126 Sq.Ft.
  • 4215 Ten Shillings Way Sold

    $2,725,000

    4215 Ten Shillings Way, Ravenel, SC 29470

    • 4 Beds
    • 5 Baths
    • 4,544 Sq.Ft.
  • 1214 Tabby Drive For Sale

    $2,700,000

    1214 Tabby Drive, Folly Beach, SC 29439

    • 5 Beds
    • 5 Baths
    • 3,170 Sq.Ft.
  • 2621 Anchor Watch Drive For Sale

    $2,695,000

    2621 Anchor Watch Drive, Wadmalaw Island, SC 29487

    • 6 Beds
    • 5 Baths
    • 3,378 Sq.Ft.
  • 513 E Arctic Avenue Sold

    $2,675,000

    513 E Arctic Avenue, Folly Beach, SC 29439

    • 4 Beds
    • 3 Baths
    • 2,318 Sq.Ft.
  • 112 E Huron Avenue # C For Sale

    $2,555,000

    112 E Huron Avenue # C, Folly Beach, SC 29439

    • 7 Beds
    • 7 Baths
    • 3,784 Sq.Ft.
  • 8 & 8 1/2 Elliott Street Unit: 8 & 8 1/2 Sold

    $2,550,000

    8 & 8 1/2 Elliott Street Unit: 8 & 8 1/2, Charleston, SC 29401

    • 3 Beds
    • 4 Baths
    • 3,187 Sq.Ft.
  • 2480 Royal Oak Drive Sold

    $2,500,000

    2480 Royal Oak Drive, Johns Island, SC 29455

    • 4 Beds
    • 4 Baths
    • 3,278 Sq.Ft.
  • 731 Virginia Rail Road Active Under Contract

    $2,475,000

    731 Virginia Rail Road, Kiawah Island, SC 29455

    • 3 Beds
    • 4 Baths
    • 2,733 Sq.Ft.
  • 1306 Palmetto Boulevard Sold

    $2,450,000

    1306 Palmetto Boulevard, Edisto Beach, SC 29438

    • 5 Beds
    • 4 Baths
    • 1,592 Sq.Ft.
  • 1579 E Ashley Avenue Sold

    $2,450,000

    1579 E Ashley Avenue, Folly Beach, SC 29439

    • 3 Beds
    • 4 Baths
    • 2,345 Sq.Ft.
  • 2292 Beckenham Drive Sold

    $2,435,000

    2292 Beckenham Drive, Mount Pleasant, SC 29466

    • 6 Beds
    • 9 Baths
    • 7,479 Sq.Ft.
  • 1857 Headquarters Plantation Drive Sold

    $2,351,000

    1857 Headquarters Plantation Drive, Johns Island, SC 29455

    • 5 Beds
    • 6 Baths
    • 4,551 Sq.Ft.
  • 1699 E Ashley Avenue # B For Sale

    $2,295,000

    1699 E Ashley Avenue # B, Folly Beach, SC 29439

    • 5 Beds
    • 4 Baths
    • 3,027 Sq.Ft.
  • 766 Clearview Drive Sold

    $2,250,000

    766 Clearview Drive, Charleston, SC 29412

    • 3 Beds
    • 2 Baths
    • 2,812 Sq.Ft.
  • 179 Wentworth Street Sold

    $2,050,000

    179 Wentworth Street, Charleston, SC 29401

    • 3 Beds
    • 4 Baths
    • 2,210 Sq.Ft.
  • 74 Sandbar Lane Sold

    $2,050,000

    74 Sandbar Lane, Folly Beach, SC 29439

    • 5 Beds
    • 5 Baths
    • 2,833 Sq.Ft.
  • 2407 Cameron Boulevard Sold

    $2,000,000

    2407 Cameron Boulevard, Isle of Palms, SC 29451

    • 5 Beds
    • 3 Baths
    • 2,469 Sq.Ft.
  • 2407 Cameron Boulevard # B Unit: A & B Sold

    $2,000,000

    2407 Cameron Boulevard # B Unit: A & B, Isle of Palms, SC 29451

    • 5 Beds
    • 2,469 Sq.Ft.
  • 827 Robert E Lee Boulevard Sold

    $2,000,000

    827 Robert E Lee Boulevard, Charleston, SC 29412

    • 5 Beds
    • 5 Baths
    • 4,601 Sq.Ft.
  • 313 E Arctic Avenue Sold

    $1,950,000

    313 E Arctic Avenue, Folly Beach, SC 29439

    • 3 Beds
    • 2 Baths
    • 1,908 Sq.Ft.
  • 1145 Hills Plantation Drive Sold

    $1,940,000

    1145 Hills Plantation Drive, Charleston, SC 29412

    • 5 Beds
    • 4 Baths
    • 3,224 Sq.Ft.
  • 1544 John Fenwick Lane Active Under Contract

    $1,900,000

    1544 John Fenwick Lane, Johns Island, SC 29455

    • 4 Beds
    • 5 Baths
    • 3,203 Sq.Ft.
  • 244 Ashley Avenue Sold

    $1,900,000

    244 Ashley Avenue, Charleston, SC 29403

    • 3 Beds
    • 3 Baths
    • 2,084 Sq.Ft.
  • 222 S Plaza Court For Sale

    $1,899,000

    222 S Plaza Court, Mount Pleasant, SC 29464

    • 3 Beds
    • 3 Baths
    • 2,066 Sq.Ft.
  • 0 Folly Road For Sale

    $1,895,000

    0 Folly Road, Charleston, SC 29412

  • 9 Gadsden Street For Sale

    $1,895,000

    9 Gadsden Street, Charleston, SC 29401

    • 5 Beds
    • 3 Baths
    • 2,456 Sq.Ft.
View All

Follow Us On Instagram